omakotitalo,
170 000 € • 90.0 m2 • 1 888,89 €/m2
Kuikkulankatu 8,
20540,
Nummi,
Turku
omakotitalo,
Kuikkulankatu 8, 20540, Nummi, Turku
170 000 €
90 m2 • 1 888,89 €/m2
Tontti
oma
Kerroksia
1
Näytä asiakirjat: Kuikkulankatu 8
Tee tarjous: Kuikkulankatu 8
TURUN KAUPUNKI MYY!
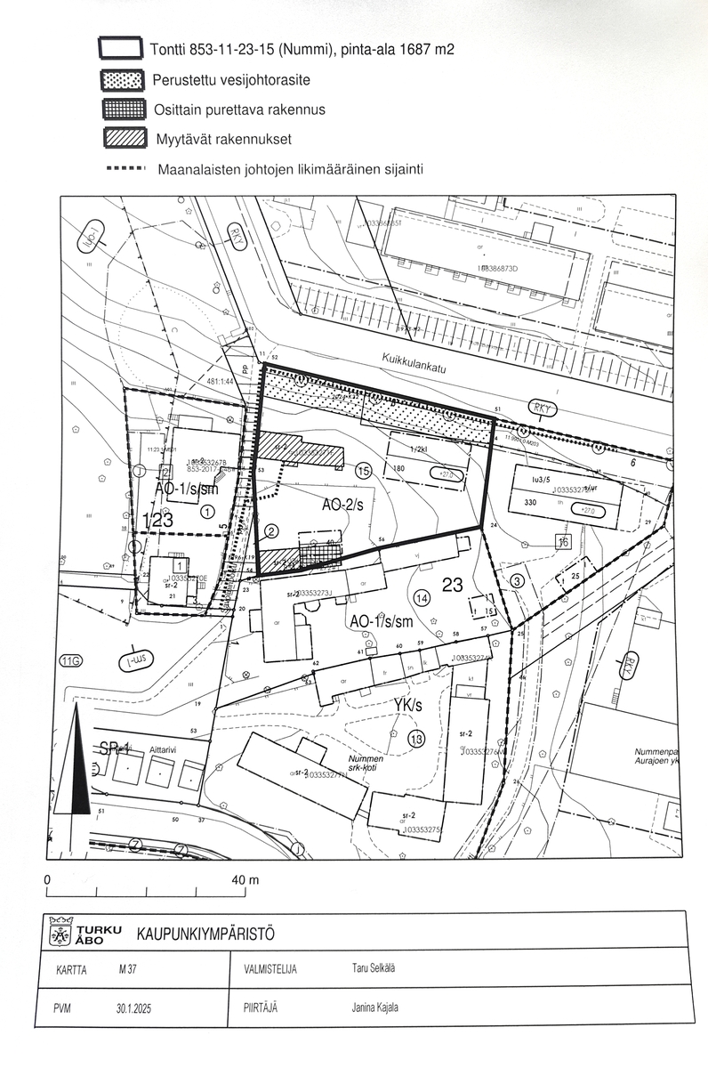
Turun kaupungin Nummen (11.) kaupunginosan korttelin 23. tontti 15, kiinteistötunnus 853-11-23-15, rakennuksineen ja laitteineen. Tontin 853-11-23-15 pinta-ala on 1687 m2. Kaupan kohteen osoite on Kuikkulankatu 8, 20540 Turku ja kohde on osoitettu kartalla M 37 / 30.1.2025.
Kaupan kohteena oleva tontti on 17.6.2023 voimaan tulleessa asemakaavassa Nummi 22/2016 osoitettu erillispientalojen korttelialueeksi, jolla ympäristö säilytetään (AO-1/s). Uudisrakennettaessa tai muutostöitä tehtäessä on kiinnitettävä erityistä huomioita rakennetun ympäristön kulttuurihistoriallisiin kerrostumiin ja huomioida yhtenäisen kokonaisuuden muodostuminen.
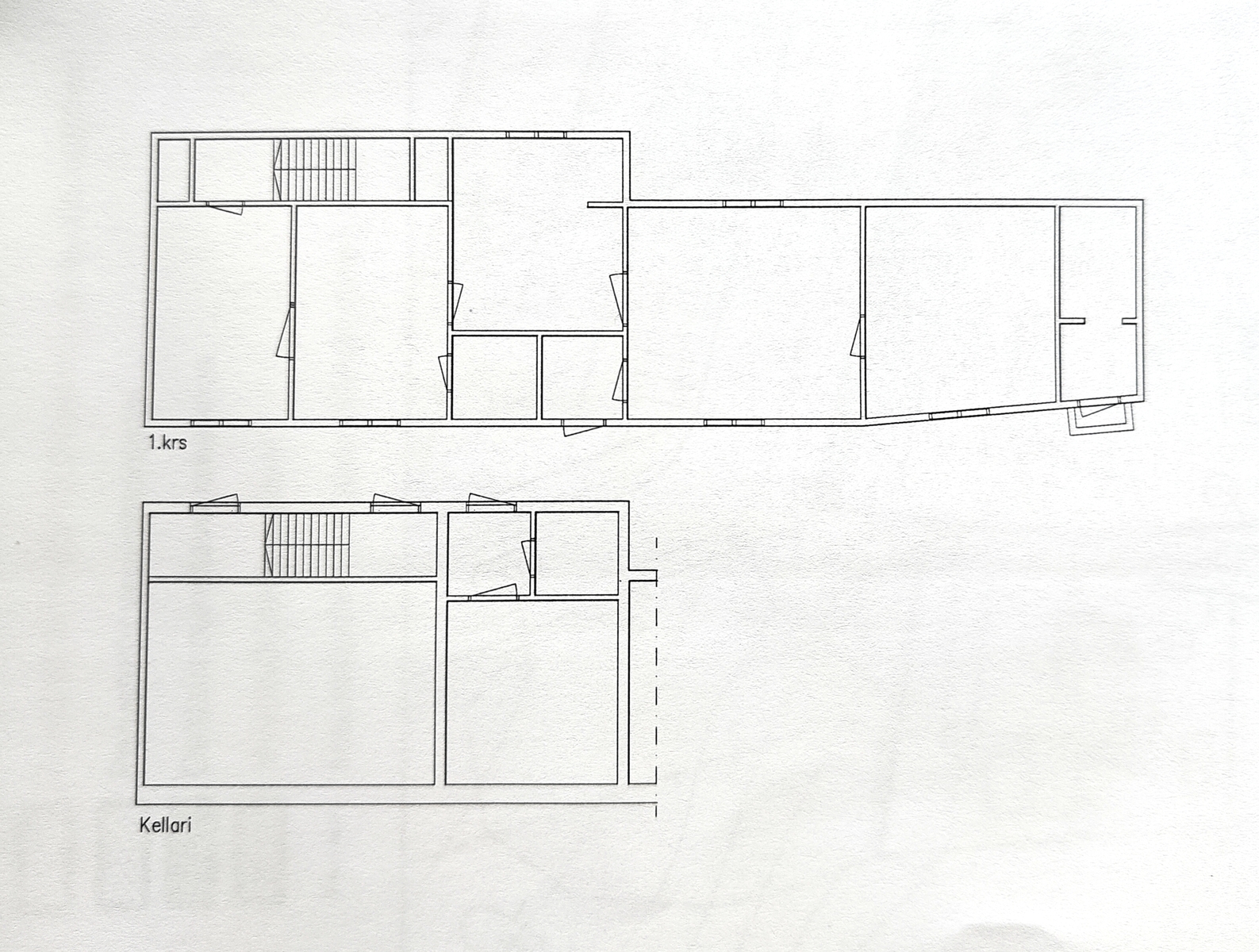
Kaupan kohteena on koko kiinteistö rakennuksineen ja laitteineen. Kohteella sijaitsee asuinrakennus (rakennustunnus 103353271F) ja talousrakennus (rakennustunnus 103620159S). Kohde myydään asuinkäyttöön täydellisesti peruskorjattavaksi.
Turun Museokeskuksen 7.4.2025 antaman lausunnon mukaan Kuikkulan kantatilan vanhat rakennukset ovat osa kulttuurihistoriallisesti merkittävää kokonaisuutta, jonka vuoksi ne on merkitty asemakaavassa suojelukohteiksi. Rakennusta tai sen osaa ei saa purkaa eikä siinä saa suorittaa sellaisia lisärakentamis- tai muutostöitä, jotka tärvelevät julkisivujen tyyliä tai vesikaton perusmuotoa. Rakennus- ja toimenpidelupaa vaativista muutoksista on hankittava museoviraston lausunto. Asuinrakennuksen ala on noin 90 k-m2 ja talousrakennuksen ala on noin 40 k-m².
Tontille on suojeltujen rakennusten lisäksi uudisrakennusoikeutta yksikerroksiselle asuinrakennukselle 180 m² ja talousrakennukselle 40 m². Uudisrakennuksen tulee sopeutua mittakaavaltaan sekä julkisivujen väritykseltä ja aukotukselta valtakunnallisesti arvokkaaseen kirkonkylämiljööseen.
LISÄTIEDOT, ESITTELYPYYNNÖT, OSTOTARJOUKSET!
Peter Grönholm, LKV, 040 509 9250 tai peter.gronholm@roof.fi
Jag betjänar även på svenska. I can provide services also in English.
Hintatiedot
Velaton hinta
170 000 €
1889 €/m2
Tontti
Kiinteistötunnus/laitostunnus |
853-11-23-15 |
|---|---|
Kiinteistön nimi |
23 |
Tontin pinta-ala |
1687m2 |
Tontin omistus |
oma |
Rakennusoikeus, m2 |
Tontille on suojeltujen rakennusten lisäksi uudisrakennusoikeutta yksikerroksiselle asuinrakennukselle 180 m2 ja talousrakennukselle 40 m2. |
Kaava, m2 |
Kaupan kohteena oleva tontti on 17.6.2023 voimaan tulleessa asemakaavassa Nummi 22/2016 osoitettu Erillispientalojen korttelialueeksi, jolla ympäristö säilytetään (AO-1/s). Uudisrakennettaessa tai muutostöitä tehtäessä on kiinnitettävä erityistä huomioita rakennetun ympäristön kulttuurihistoriallisiin kerrostumiin ja huomioida yhtenäisen kokonaisuuden muodostuminen. Uudisrakennuksen tulee sopeutua mittakaavaltaan sekä julkisivujen väritykseltä ja aukotukselta valtakunnallisesti arvokkaaseen kirkonkylämiljööseen. |
Sijainti
Kuikkulankatu 8
20540,
Nummi,
Turku