Hero banner image

Kelotie 20, 90570, Oulu

Get a Roof
Myyntihinta: 129 500 €
Velaton hinta: 129 500 €
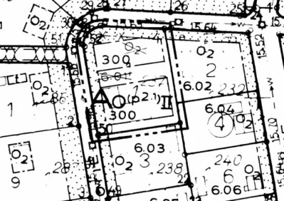
Talotyyppi: omakotitalotontti
Kaupunginosa: Isko
Kaupunki: Oulu

Apartment image

Rakentajan unelmatontti rauhallisella asuinalueella Iskossa, noin 4 km päästä Oulun keskustasta! Koulut, kaupat ja Oulun Yliopisto on pyöräilymatkan päässä.

Tervetuloa tutustumaan viihtyisälle noin 1 081 m2 omalle tontille, joka tarjoaa erinomaiset puitteet oman kodin rakentamiseen. Tontilla on asemakaavan mukaisesti rakennusoikeutta 300 kem2. Tontille saa rakentaa kaksikerroksisen asuinrakennuksen. Tontin pääkäyttötarkoitus AO Omakotirakennusten ja muiden enintään kahden perheen talojen korttelialue sallii yhden perheen talon, paritalon sekä kahden erillisen omakotitalon rakentam...

Apartment image
Target image Target image Target image Target image Target image Target image Target image Target image Target image Target image Target image Target image Target image Target image Target image Target image Target image Target image Target image Target image Target image Target image Target image Target image Target image Target image Target image Target image Target image Target image Target image Target image Target image Target image Target image Target image Target image

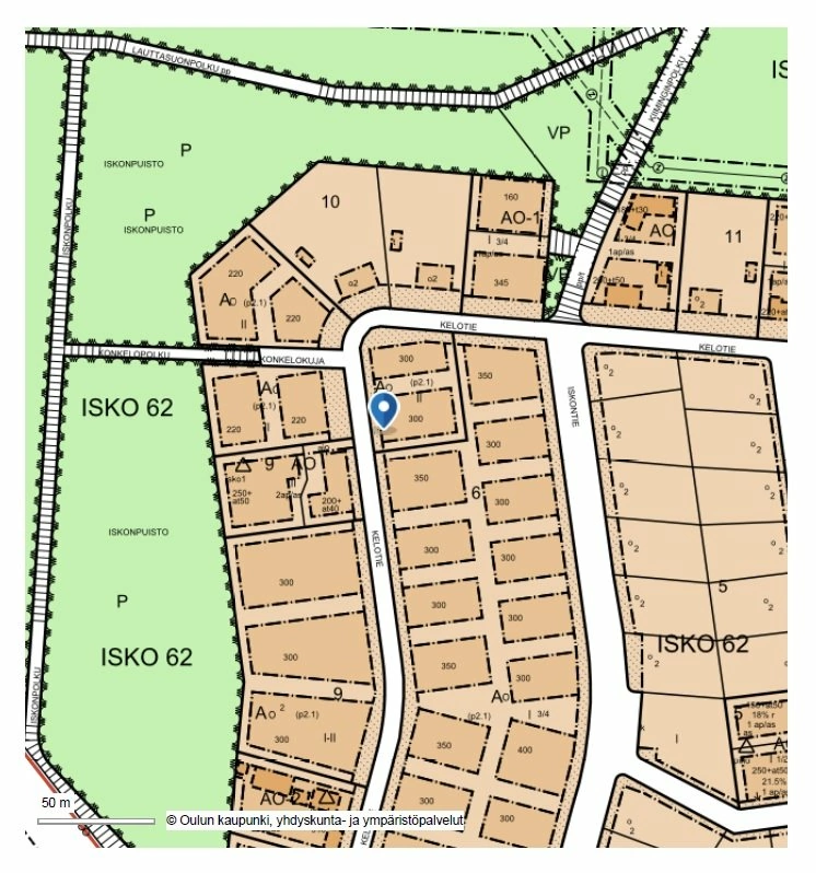
Sijainti

Order demo

Varaa esittely

Calendar

Kiinnostuitko?

Ehdota meille sinulle sopivaa aikaa niin valittajamme on sinuun yhteydessa mahdollisimman pian.

Ota yhteytta

Ota yhteytta

Contact image Contact image
Jukka-Pekka Halunen
Puh: 040 138 8668
Jukka-Pekka Halunen

Katso muut kohteet Isko

Real estate object
omakotitalotontti
Kelotie 20, 90570, Oulu
Real estate object
kerrostalo
Kaitoväylä 20, 90570, Oulu
4h,k,kph,s,wc,parveke